
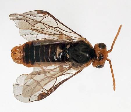
Описание
Это вредитель плодовых культур. Более всего уязвимы ранние сорта яблонь. Яблонный пилильщик — это насекомое из семейства пилильщиков (Tenthredinidae). Длина взрослой особи составляет около 1,5 см. Тело обычно чёрного или тёмно-коричневого цвета с характерными желтыми отметинами на боках. Личинки имеют зеленоватый цвет и могут достигать 2 см в длину. Они обладают характерной формой тела и часто бывают покрыты восковыми выделениями.
Вид
Hoplocampa testudinea Klug
Развитие (жизненный цикл)
Зимовка пилильщика происходит в коконах, которые содержат в себе ложногусениц. Личинки окукливаются весной, обеспечивая лёт взрослых насекомых во время фазы обособления бутонов. Лёт продолжается вплоть до окончания цикла цветения. Откладывание яиц производится в цветоложе и чашелистики – по одному на каждый цветок. Для этого самка использует яйцеклад, с помощью которого делает небольшие надрезы. За свою жизнь самка успевает отложить до 90 яиц.
Появляющиеся личинки начинают поедать мякоть под кожицей завязей, а затем и семенные камеры вместе с содержимым. Отличительной чертой поврежденных плодов являются бурые экскременты, обладающие резким клопиным запахом, а также бурая жидкость, напоминающая ржавчину, которая нередко вытекает из выходных отверстий на плоде. Каждая личинка успевает повредить от трёх до шести плодов за свой период питания, который длится около 24-х дней. Вместе с опавшими завязями личинки попадают в землю, где образуют кокон. За год может образоваться лишь одно поколение, но ряд коконов может впасть в диапаузу, пережив повторную перезимовку.

Вредоносность
Яблонный пилильщик наносит вред росту и развитию растений яблони: личинки пилильщика питаются листьями, могут объедать их до жилок, что ослабляет дерево и снижает его устойчивость к болезням. Взрослые особи откладывают яйца на молодые плоды, и после вылупления личинки проникают в плоды, вызывая их гниение и опадение, что может привести к значительным потерям урожая. Поврежденные деревья могут давать меньше плодов, а также проявлять признаки стресса, что влияет на их общий рост и развитие.
Методы профилактики
В качестве профилактики чаще всего проводят зяблевую вспашку, а также рыхление почвы.
Средства борьбы
Растения опрыскивают инсектицидами: Карбофос, Фуфанон, Борей, Фитоверм, Сенсей, Кунгфу, Цепеллин и др.














