
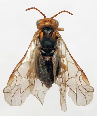
Грушевый пилильщик-ткач
Пилильщик-ткач грушевый (Neurotoma saltuum), также известный как общественный грушевый пилильщик? представляет собой мелкого представителя семейства Пилильщики-ткачи (Pamphiliidae)

Грушевый плодовый пилильщик
Грушевый плодовый пилильщик (Hoplocampa brevis) — мелкое перепончатокрылое насекомое из семейства Настоящие пилильщики (Tenthredinidae)

Долгоносик-короед плодовый
Долгоносик-короед плодовый — это насекомое из семейства долгоносиков, которое представляет собой значимую угрозу для садоводов и агрономов

Древоточец пахучий
Древоточец пахучий (ивовый) — это крупная бабочка

Жимолостная или розанная листовертка
Розанная листовертка – распространенный вредитель лиственных деревьев и кустарников, в том числе плодовых культур, имеет еще одно название – золотистая листовертка

Жимолостная моль-пестрянка
Это мелкая бабочка, относящаяся к минирующим молям, повреждающая жимолость

Жимолостная пальцекрылка
Жимолостная пальцекрылка – бабочка, гусеницы которой повреждают ягоды жимолости

Жимолостная тля
Жимолостная тля – собирательное название для группы видов сосущих вредителей, повреждающих жимолость

Жимолостный клещ
Опасный вредитель жимолости

Жимолостный минер
Жимолостный минер – минирующая муха жимолости и других плодовых культурах

Жимолостный полосатый пилильщик
Жимолостный полосатый пилильщик – вредитель жимолости, повреждающий листья и плоды

Жуки-листоеды
Жуки-листоеды – большая группа жуков семейства Chrysomelidae, наносящая серьёзный ущерб культурным растениям
